Skip to Main Content

Public hearing for Bylaw 1247-2026

City Council

Published Monday, March 30, 2026

Type Announcement

All News

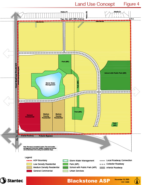
Amendment to Black Stone Area Structure Plan – Bylaw No. 1247-2026

Bylaw No. 1247-2026 will amend the Black Stone Area Structure Plan (ASP), which outlines the land use, transportation and servicing plans for the NW ¼ Section 22-49-25-W4, being the Black Stone neighbourhood. The amendment to the Black Stone ASP proposed under Bylaw No. 1247-2026 in general terms includes:

  • Reducing the commercial area from 4.08 hectares (ha) to 3.00 ha;
  • Increasing the medium density residential area from 1.98 ha to 3.69 ha;
  • Removing a north-south collector road connection. Due to the proposed removal, low density residential development will increase slightly be a total of 0.17 hectares to fill in the gap created by removing the road; and
  • A minor reconfiguration of park space.

In balance for the reduced commercial, the developer is looking at a future amendment to their Brightwell Area Structure Plan (PT NE 21 49 25 W4 and privately-owned 3300 Grant MacEwan Blvd) which would introduce a commercial site directly west of the Black Stone commercial area. This will create the opportunity for a more intentional commercial-based node around the southern-most intersection between Black Stone and Brightwell, which will be identified as such through a Municipal Development Plan (MDP) amendment. The increased medium-density residential will create greater opportunities for stacked townhouses and low-rise apartments (2-4 storeys). This design option will ensure all relevant functions, such as snow storage, garbage, and parking are addressed within the site, ensuring that there is minimal impact on adjacent low density residential areas. The low-density areas will continue to contain the same uses as noted in the approved plan, being single detached dwellings, duplexes, and fee simple townhouses.

A copy of the proposed Amendment to Black Stone Area Structure Plan that will be presented to City Council may be inspected by the public between the hours of 8:30 a.m. and 12:00 noon and 1:00 p.m. and 4:30 p.m. at the Office of the City Clerk, City Hall, Leduc Civic Centre, 1 Alexandra Park, 46th Avenue and 48A Street, Leduc, Alberta. A copy of the proposed bylaws may also be viewed on the City’s website (www.leduc.ca/hearing-notices). Inquiries can be made by contacting the Planning & Economic Development department ([email protected]; (780)-980-7124)

Public Hearing – April 13, 2026

Leduc City Council will hold a public hearing on this proposed bylaw on Monday, April 13, 2026 at 5:30 p.m. or as soon thereafter as may be convenient, in the Council Chambers at the Leduc Civic Centre, #1 Alexandra Park (46th Avenue and 48A Street), Leduc, Alberta. Anyone interested may be heard by Council prior to the proposed bylaw being considered for second reading.

Presentations/submissions: Anyone who wishes to speak to Council at the time of the public hearing or provide a written submission is asked to contact the City Clerk’s Office (780)-980-7156 or [email protected]).

Land use concept plan for the Blackstone ASP showing residential, commercial, park, school, and road areas.
White flowers in the foreground with a building featuring a glass pyramid roof and trees in the background under a blue sky.